
فروش زمین مسکونی با سند تک برگ لنگرود دریاسر
۶,۱۳۲,۰۰۰,۰۰۰۱ روز پیش، گیلان، شلمان، دریاسر
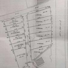
متراژ
۱,۶۸۰نوع کاربری
مسکونیقیمت هر متر
۳,۶۵۰,۰۰۰پرداخت امن تومنضامن امنیت معامله شما
توضیحات:
مشارکت در ساخت: false
نوع سند: شخصی
کد فایل: 1451
فروش زمین مسکونی با سند تک برگ لنگرود دریاسر
#کد_ملک_1451
1680 متر زمین
کاربری مسکونی
دو کله
از دو کوچه در دارد
دارای سند تک برگ مسکونی
دارای انواع درختان میوه بار ده
مناسب جهت ویلاسازی
مناسب جهت سرمایه گذاری
مناسب جهت اپارتمان سازی
دور تا دور محصور شده
**املاک لنگرود**
شماره جهت ارسال تصاویر :0936XXX8936
با آرزوی سلامتی برای همه ی دوستان
بازدید در شرایط کرونا با رعایت پروتکل بهداشتی **
((پاسخگویی 24 ساعته در کنار شما عزیزان هستیم ))
**فروش ملک در کوتاهترین زمان ممکن**
مهندس مهیار پورحسینی
0911XXX8588(نمایش کامل)
نوع سند: شخصی
کد فایل: 1451
فروش زمین مسکونی با سند تک برگ لنگرود دریاسر
#کد_ملک_1451
1680 متر زمین
کاربری مسکونی
دو کله
از دو کوچه در دارد
دارای سند تک برگ مسکونی
دارای انواع درختان میوه بار ده
مناسب جهت ویلاسازی
مناسب جهت سرمایه گذاری
مناسب جهت اپارتمان سازی
دور تا دور محصور شده
**املاک لنگرود**
شماره جهت ارسال تصاویر :0936XXX8936
با آرزوی سلامتی برای همه ی دوستان
بازدید در شرایط کرونا با رعایت پروتکل بهداشتی **
((پاسخگویی 24 ساعته در کنار شما عزیزان هستیم ))
**فروش ملک در کوتاهترین زمان ممکن**
مهندس مهیار پورحسینی
0911XXX8588(نمایش کامل)

املاک لنگرود
عضو شیپور از آذر ۱۴۰۴

مشاور این آگهی مهیار پورحسینی
عضو شیپور از دی ۱۳۹۷۲۱۴ آگهی










